INFORMACIÓN GENERAL
Abierta a la participación ciudadana una obra en la zona del Canal
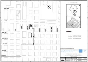
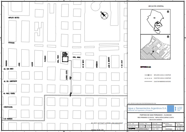
El Ministerio de Ambiente de la provincia de Buenos Aires informa que se encuentra abierta la instancia de participación pública para la obra “Red Primaria Cloacal Impulsión Quirno Costa NC70233″. El trámite se basa en el otorgamiento de la Declaración de Impacto Ambiental (DIA) y podrán enviarse consultas hasta el 29 de julio inclusive.
La obra se ubica en la zona del Canal de San Fernando, en un predio de la calle Quirno Costa e/ Gral. Arias y San Ginés, continuando por la calle Quirno Costa hasta la Av. Presidente Perón, donde la cañería a presión vuelca en una Boca de Descarga y Vertedero. A su vez, esta Boca de Descarga vuelca en una Boca de Registro perteneciente al colector Ribereños mediante una cañería a gravedad.
El Proyecto Red Primaria Cloacal Impulsión Quirno Costa será ejecutado y financiado por Agua y Saneamientos Argentinos S. A. Para poder llevar a cabo la obra la Dirección Provincial de Evaluación de Impacto Ambiental abrió la instancia de participación pública para que la comunidad se exprese sobre el impacto ambiental de la misma.
Los interesados en participar podrán conocer el proyecto en el siguiente link
La participación de la comunidad, a través de distintas instancias (consultas y audiencias públicas), debe desarrollarse antes de la toma de decisiones administrativas que habiliten proyectos que pudiesen generar impactos significativos sobre el ambiente o la salud.
La participación pública es un derecho de los/las bonaerenses y un deber del Estado, tanto Nacional como de la Provincia, garantizar el acceso al mismo. Este derecho se reconoce tanto en nuestra legislación provincial (Ley 11.723 y Ley 12.475), legislación nacional (Ley 25.675 y Ley 27.275) y en el “Acuerdo de Escazú”, que es el primer tratado de derechos humanos en materia ambiental para la región.
Fuente consultada: PBA

